Windrow
Windrow is a new subdivision in Southwest Meridian, just off Amity and Linder roads. The neighborhood includes a mix of single-family homes on mid-size lots, tucked into what used to be open farmland. The location puts you close to newer schools and growing retail hubs, but the area still feels a bit rural around the edges. With its looped streets and green pockets, Windrow is a quiet, walkable neighborhood, not huge, but not crowded either. It’s the kind of place that feels tucked in, with a dog park and play area worked into the layout and a builder focused on practical floor plans and straightforward options for buyers looking to live a little outside the bustle.
Windrow Homes for Sale
No matching results (but don't worry, new listings are being added all the time).
Compare other new home communities in Meridian or browse available new construction homes in Meridian, Idaho.
Windrow Features & Amenities
- Floor plans include single and two-story single-family homes
- Subdivision amenities include a dog park, neighborhood playground, internal pathways, open green spaces, and shaded picnic areas
- Builder(s): CBH Homes
- Status: Coming Soon
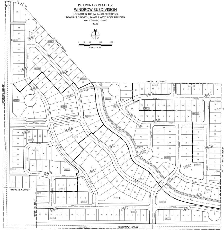
- Qualified open space: 17.2% (11.22 acres)
- Homesites range from 0.11 acres (4,725 sq ft) to 0.23 acres (10,000+ sq ft)
- Developer: Conger Group
- Approximately 251 single-family building lots on 64.23 acres (Phase 1 includes 57 lots on 17.64 acres)
Plat Map

Location
Northeast corner of S Linder Road & W Amity Road, Meridian, ID 83642.
If you're interested in Windrow or similar upcoming neighborhoods in Meridian, contact us for early details and expert local guidance.
Explore Southwest Meridian Neighborhoods
- Bear Creek
- Bittercreek Meadows
- Calla Lily Creek
- Caspian
- Danskin Ridge
- Edgehill
- Fall Creek
- Gran Prado
- Graycliff
- Iron Horse
- Jocelyn Park
- Kentucky Ridge
- Kentucky Villas
- Linrock
- Newberry Place
- Oakwood Estates
- Pear Blossom
- Preakness
- Sagewood
- Shepherd Creek
- Southridge
- Springhill
- Stapleton
- Stetson Estates
- Strada Bellissima
- Timberline Estates
- Windrow
